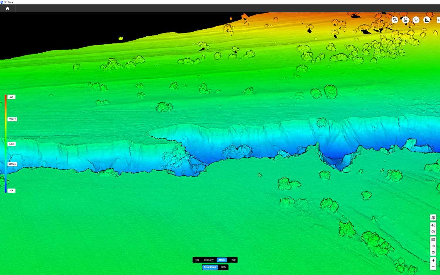
Managementul și utilizarea deficitară a terenurilor arabile din ultimele decenii a condus la scoaterea din uz a unor suprafețe agricole impresionante. Dintre procesele geomorfologice cele mai relevante asociate acestei probleme, trebuie menționată eroziunea de suprafață, dar și eroziunea în adâncime, prin instalarea ravenelor, acestea necesitând un studiu detaliat și continuu. O astfel de ravenă cu dimensiuni record se află între localitățile Stoișești, Țifu și Ghermănești, jud. Vaslui.


